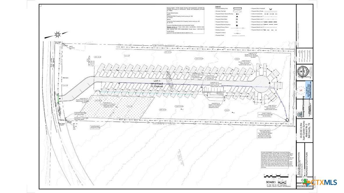
Description
This 10.134-acre unrestricted tract is located in Rogers, TX, less than 20 minutes from Temple and Belton, with easy access between Hwy 36 and Hwy 53. The property already has approved plans for approximately 27 RV spaces(can be adjusted for additional spaces), saving months of planning and permitting. With a 3-inch public water line installed and electricity available, two of the largest development hurdles are already complete. These improvements represent an estimated $160,000 in added value, positioning investors for a faster path to cash flow. Roughly half of the property sits in the 100-year and 500-year floodplain, but approved plans account for drainage and elevation needs. The balance of the acreage outside the floodplain provides ample space for infrastructure, office, or storage. Bell County is a major solar and energy corridor, creating strong demand for affordable workforce housing. Local RV parks are supporting rents of $500+ per month, with occupancy fueled by contractors and workforce employers. Unlike luxury housing, this demand remains consistent through both strong and weak markets. Growth in the region is accelerating with the I-14 corridor expansion, Temple and Belton’s rapid development, and Amazon’s distribution center at I-35/I-14. Rogers is directly in the path of progress, offering investors a rare chance to acquire an approved, utility-ready tract at a competitive price point.
School Information
© 2026 Central Texas MLS.
Listing courtesy of Trent M. Babb of Windham Rose Realty: 512-656-7368.
Description
This 10.134-acre unrestricted tract is located in Rogers, TX, less than 20 minutes from Temple and Belton, with easy access between Hwy 36 and Hwy 53. The property already has approved plans for approximately 27 RV spaces(can be adjusted for additional spaces), saving months of planning and permitting. With a 3-inch public water line installed and electricity available, two of the largest development hurdles are already complete. These improvements represent an estimated $160,000 in added value, positioning investors for a faster path to cash flow. Roughly half of the property sits in the 100-year and 500-year floodplain, but approved plans account for drainage and elevation needs. The balance of the acreage outside the floodplain provides ample space for infrastructure, office, or storage. Bell County is a major solar and energy corridor, creating strong demand for affordable workforce housing. Local RV parks are supporting rents of $500+ per month, with occupancy fueled by contractors and workforce employers. Unlike luxury housing, this demand remains consistent through both strong and weak markets. Growth in the region is accelerating with the I-14 corridor expansion, Temple and Belton’s rapid development, and Amazon’s distribution center at I-35/I-14. Rogers is directly in the path of progress, offering investors a rare chance to acquire an approved, utility-ready tract at a competitive price point.
© 2026 Central Texas Multiple Listing Service, Inc. All rights reserved. IDX information is provided exclusively for consumers' personal, non-commercial use and may not be used for any purpose other than to identify prospective properties consumers may be interested in purchasing. Some properties which appear for sale on the website may no longer be available because they are for instance, under contract, sold or are no longer being offered for sale. Information is deemed reliable but is not guaranteed accurate by the MLS or The Real Estate Home Team LLC. Data last updated: 2026-02-14T13:06:06.32.
